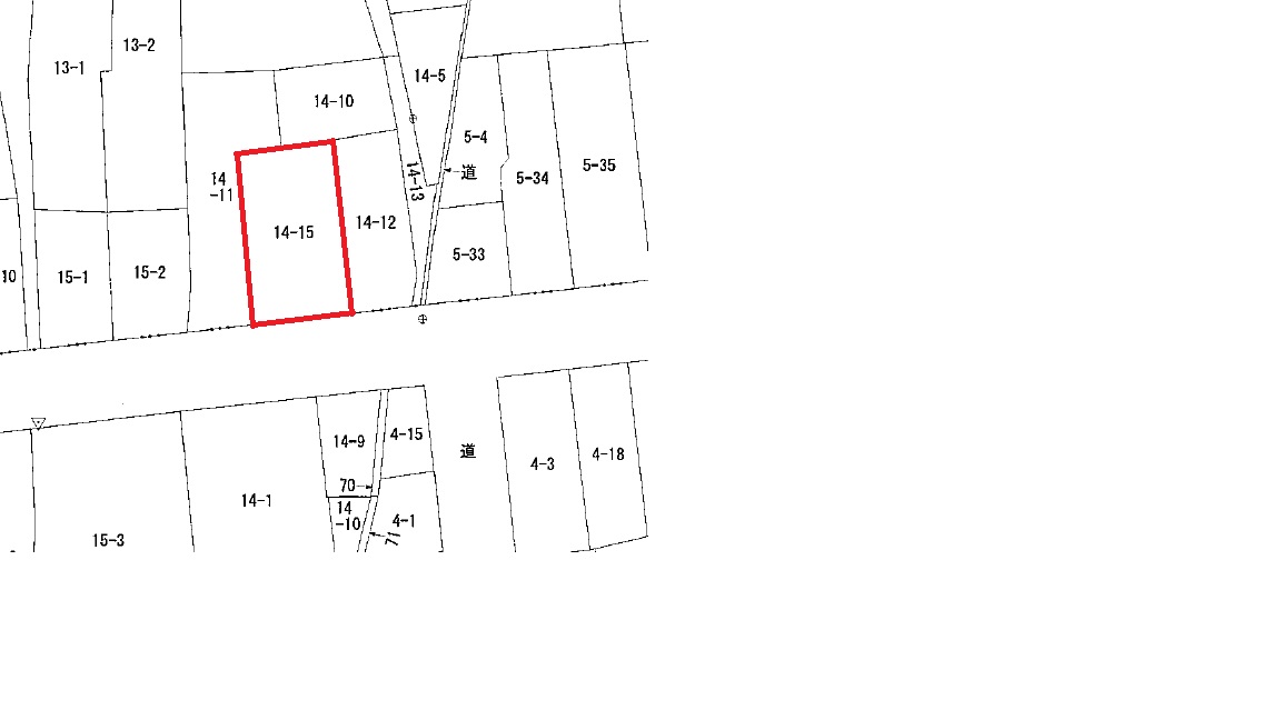
物件種目:売地
所在地:大通4丁目
価格:16,000,000円
坪単価:205,128円
土地面積:258.91㎡
土地坪数:約78坪
都市計画:非線引き区域
用途地域:商業地域
建ぺい率:80%
容積率:400%
交通:岩手県北バス「大通3丁目」バス停徒歩1分
他の制限:準防火地域・景観法(市街地景観地区)
土地権利:所有権
地目:宅地
接道状況:南側県道幅員約9mに約12m接道
設備:上下水道・東北電力
引渡条件:現状渡し
現況:月極駐車場
引渡日:相談
備考:洪水・土砂災害(0.5m~3m)浸水想定区域
引渡時までに月極駐車場契約は解除します
■取引態様:媒介
■仲介手数料:594,000円
※万が一ご成約の場合はあしからずご了承ください。
※図面と現況が相反する場合は、現況を優先させていただきます。













